El ejército israelí habla de “ataques significativos” y dice que “responderá con fuerza a cualquier violación” del acuerdo (más…)
Día: 29 de octubre de 2025
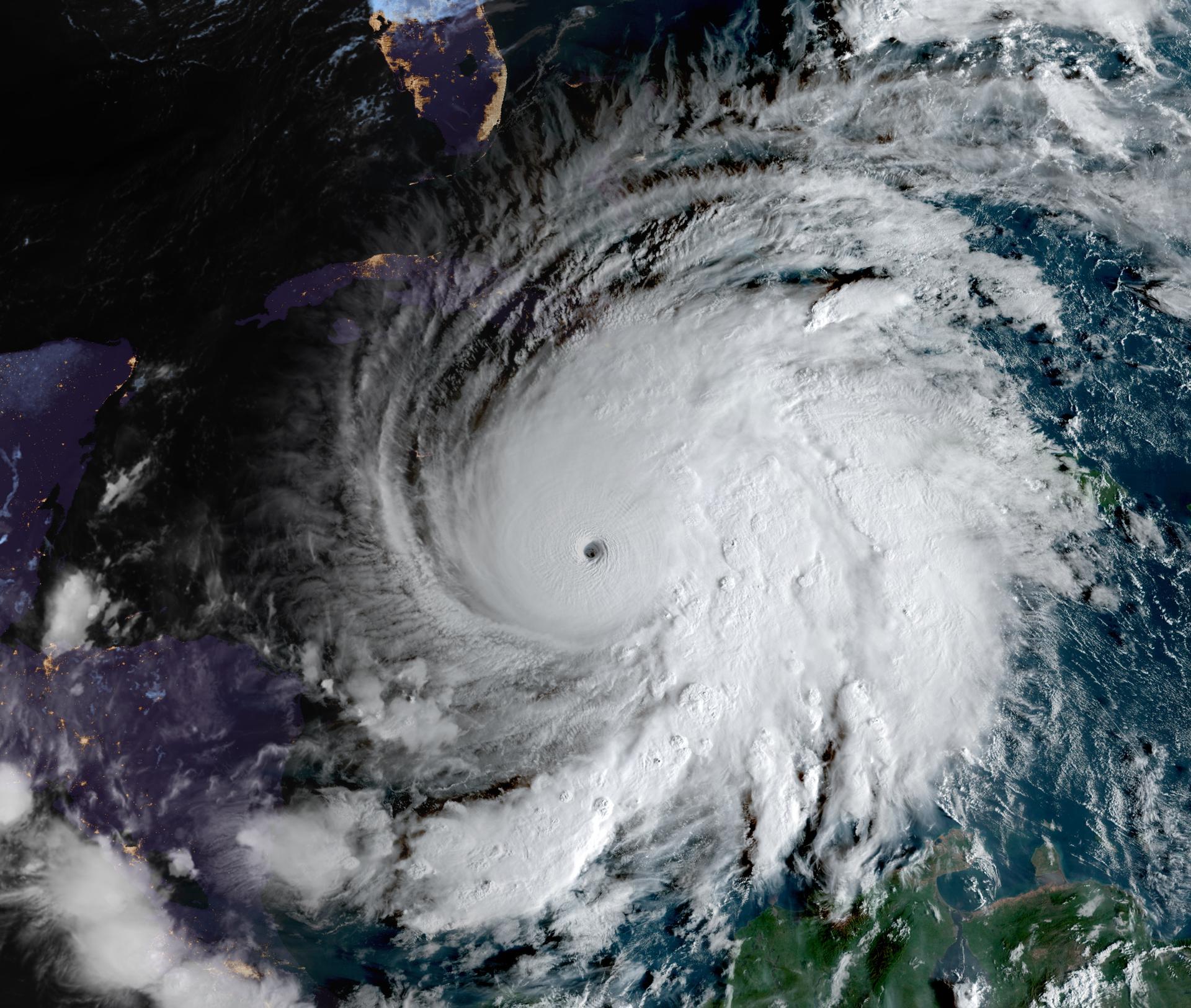
Trump afirma que "nunca" ha visto un huracán como Melissa y promete ayuda para Jamaica
El primer ministro de Jamaica, Andrew Holness, declaró el país como “zona catastrófica” (más…)
Habitantes de favelas en Río de Janeiro hallan 40 cadáveres tras operación policial
Las operaciones y los bloqueos llevaron a interrupciones en el tránsito de un centenar de líneas de autobuses y al cierre de decenas de escuelas y centros de salud (más…)
Presidente de Taiwán enfurece a China con dura advertencia sobre uso de la fuerza
“Solo mediante la fuerza para proteger la paz, Taiwán puede avanzar con estabilidad”, asegura William Lai (más…)
Trump está dispuesto a bajar los aranceles a China a cambio de ayuda en la lucha contra el fentanilo
Estados Unidos impuso aranceles de 20% a las exportaciones chinas a cuenta del fentanilo, que se suman a otros gravámenes sobre la segunda economía mundial (más…)
Más de 90 palestinos asesinados, incluidos 24 niños, por los bombadeos israelíes en Gaza
Trump dice que Israel “debería responder” a lo que considera violaciones del alto el fuego (más…)
Rusia sale en defensa de Venezuela tras la ofensiva de Trump contra Maduro
Todo lo que ocurre en torno a Venezuela debe hacerse en concordancia con la letra y espíritu del derecho internacional”, dice el portavoz del Kremlin (más…)
Huracán Melissa arrasa Jamaica y entra en Cuba con una gran fuerza destructiva
Más de 735,000 personas han sido evacuadas en Cuba ante el paso del ciclón, donde ha llegado con vientos de 200 km/h, de momento, ha provocado siete muertos (más…)
Proyectos en la Asamblea Nacional atentan contra la educación particular en Panamá
El deterioro del sistema privado ya está empujando a miles de estudiantes hacia escuelas oficiales, que no están preparadas para absorber la demanda (más…)
Diputados rechazan proyectos de ley anticorrupción impulsados por el procurador general
Las iniciativas buscaban fortalecer las herramientas legales para investigar y sancionar delitos contra la administración pública (más…)

